Courtesy of: Jeffrey Landsman, Houlihan Lawrence Inc.
(MLS# HOULAW39)
Inquire About It
Schedule A Showing
About 10-13-75 Dickinson, Yonkers, New York, 10703
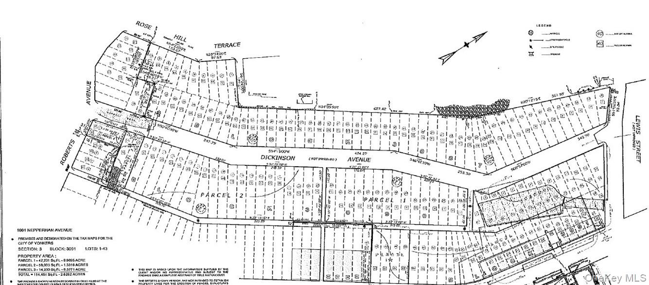
Welcome to Dickinson's Gardens! A hidden away, 7-acre parcel of land! There are currently 4 large tax lots in this sale and they may be subdivided into 5000 SF building lots for single family houses. 3 lots on Dickinson Ave and one lot located at 2 Rose Hill Ter. Dickinson Ave is mostly an unimproved St and once developed, it can be opened up, going through to Lewis St. On Lewis you will see curbing as to where the street will open. The zoning is S50, which means, min. requirements are 50 frontage and 5000 SF per lot. Engineer has proposed that 47 building lots can be established, as of right. Seller offers no guarantees. Subdivide as you see fit. Great opportunity to build a new development in Yonkers. Possible Townhouse Development, cluster housing, with applications to the Yonkers Planning Board. Area is close to Saw Mill Pkwy, St John's Hospital, New Boyce Thompson Center and Untermeyer Park and Gardens. Survey and sewer maps are available. Sewers at each end of Dickinson Ave. No subdivision process has been started. They aren't making any more land, don't miss your chance! Additional Information: Soil Type: Unknown,
Street Address: 10-13-75 Dickinson
City: Yonkers
State: New York
Postal Code: 10703
Property Information :
Listing Status: Active
MLS #: 954617
Price: $3,500,000
Last Modified : Mar 2 2026 3:46AM
Courtesy of: Jeffrey Landsman, Houlihan Lawrence Inc. (MLS# HOULAW39)