About 75TH STREET, Gainesville, Florida, 32608
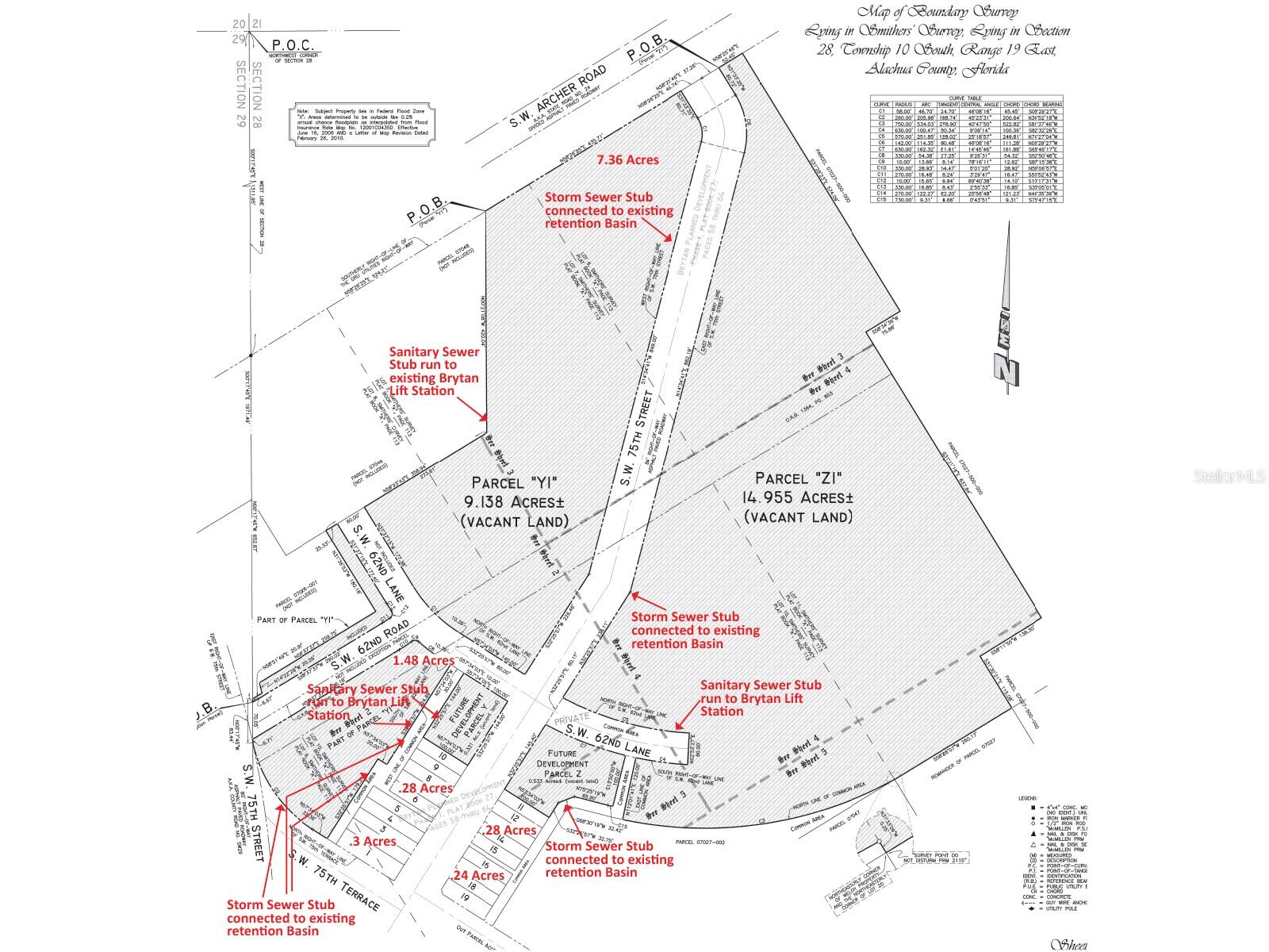
This offering consists of approximately 13.2 acres, identified as Parcel C in the attached exhibit. Additional contiguous acreage is available and may be purchased separately from the seller. This is an outstanding mixed-use commercial development opportunity located at the high-traffic SW corner of Archer Road and Tower Road. The site is ideal rental apartments or condominiums development. The property can be subdivided allowing for pad sales, phased development, or multi-tenant strategies. The site has the following infrastructure already built: major roads, stormwater basins, sewer lift station, water, electric, gas, and fiber-optic internet already in place—significantly reducing development costs and timelines. Traffic counts include approximately 30,000 AADT on Archer Road and 17,500 AADT on Tower Road, providing excellent exposure and access. Located just 2.5 miles from the I-75 interchange, the property benefits from strong regional connectivity. The surrounding area is anchored by dense and expanding residential development, including the Brytan PD and Grand Preserve PD, encompassing approximately 200 acres, with 300,000 SF of commercial space and 940 homes planned. The trade area includes 135,383 residents and 52,948 households within a 15-minute drive, supporting long-term tenant demand and investor returns. Listing agent is related to the seller.
Utilities : BB/HS Internet Available
Water Access : 0
Sewer : Public Sewer
Road Surface Type : Asphalt
Zoning : PD
Utilities : BB/HS Internet Available
Water Access : 0
Sewer : Public Sewer
Road Surface Type : Asphalt
Zoning : PD

Street Address: 75TH STREET
City: Gainesville
State: Florida
Postal Code: 32608
County: Alachua
Directions: The property is located on the southwest corner of the intersection of Archer Road and Tower Road (SW 75th street).

Property Information :
Listing Status: Active
Lot Size: 13.20 Acres
MLS #: GC537002
Bathrooms: 0 ba
Price: $6,864,000
Tax Amount: 1
Last Modified : Mar 2 2026 1:53AM

Courtesy of: Loree Skobel, SKOBEL REALTY LLC (MLS# 259504945)
Source MLS: StellarMLS